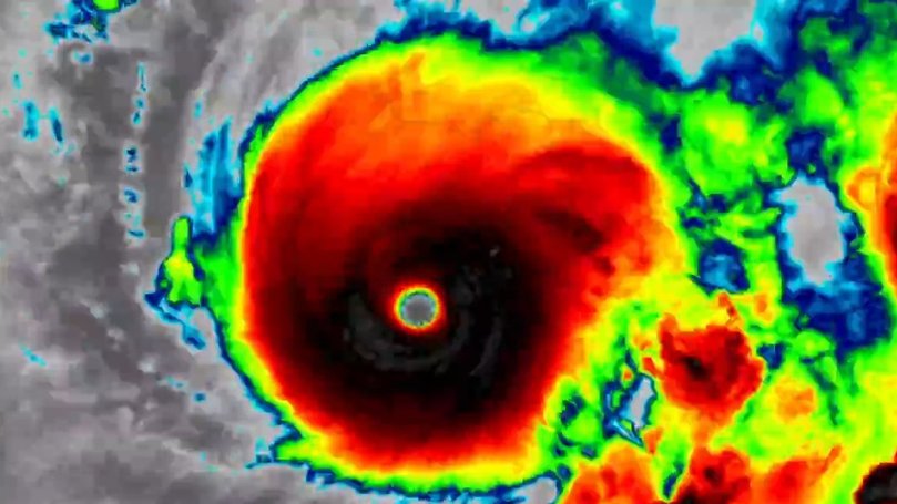
Hurricane Melissa intensifies to category five storm, threatens catastrophic flooding, 280km/h winds
Hurricane Melissa has intensified to a category five storm, the highest on the Saffir-Simpson scale, as Jamaicans brace for catastrophic flooding and 280km/h winds.

Hurricane Melissa has intensified to a category five storm as it threatens catastrophic flooding and destructive winds in the Caribbean.
With wind speeds of up to 280km/h, the slow-moving but deadly hurricane is expected to make landfall in Jamaica in the early hours of Tuesday morning local time (Tuesday afternoon AEDT).
Six deaths have already been attributed to the hurricane, which is now considered the strongest storm to roam Earth in 2025. Two people died in Jamaica over the weekend as they cut trees in preparation for the storm.
Sign up to The Nightly's newsletters.
Get the first look at the digital newspaper, curated daily stories and breaking headlines delivered to your inbox.
By continuing you agree to our Terms and Privacy Policy.Meanwhile, three people were killed in Haiti, and another in the Dominican Republic, where a second person remains missing, according to reports.

The Jamaican Government has ordered evacuations for parts of the capital, Kingston, and the entire island has been classed as “threatened”.
During a press conference in Kingston, authorities stated that both international airports are closed and 881 shelters have been activated nationwide.
“Many of these communities will not survive the flooding,” Desmond McKenzie, Minister of Local Government, said at the press conference.
“Kingston is extremely low. No community in Kingston is immune.”
What the experts are saying
Meteorologists fear that Melissa could become the most powerful hurricane ever to hit Jamaica as its slow pace means it could dump torrential rain for longer, increasing the risk of flooding and landslides.
An update from the US National Hurricane Centre said the storm was moving slowly west-northwestward and expected to turn northward later on Monday (local time).
“Catastrophic and life-threatening winds, flooding, and storm surge expected on Jamaica tonight and early Tuesday,” the warning read.
AccuWeather’s chief meteorologist Jonathon Porter described the storm as a “perilous situation”.
“A major hurricane slowly crawling toward an island with powerful winds, extreme rainfall, and damaging storm surge is a perilous situation for a place like Jamaica,” he said.
“Slow-moving major hurricanes often go down in history as some of the deadliest and most destructive storms on record. Tens of thousands of families are facing hours of extreme wind gusts above 100mph and days of relentless, torrential rainfall.”
Mr Porter added that a storm surge of three to four metres in the hardest hit areas will risk lives and result in property destruction.
“An extremely urgent humanitarian crisis may follow,” he said.
The deputy director of the NHC, Jamie Rhome, said the “conditions (in Jamaica) are going to go down rapidly today”.
“Be ready to ride this out for several days,” he warned residents.
According to the NHC, 350-750mm of rain is possible in parts of Jamaica over the next couple of days.
PM orders evacuations
Jamaica’s Prime Minister Andrew Holness has urged those on the island to comply with evacuation orders and stay indoors during the storm.

“The Government has declared the entire island a threatened area under the Disaster Risk Management Act, empowering agencies to take all necessary measures to protect lives and property,” he wrote on X.
“Shelters are open, emergency teams are on standby, and compulsory evacuations have been ordered for vulnerable coastal and flood-prone communities.
“I urge every Jamaican to prepare, stay indoors during the storm, and comply with evacuation orders. Check on your neighbours, especially the elderly and vulnerable, and continue to pray for our nation’s safety. We will weather this storm and rebuild stronger.”
