Cylone Fina: Top End braces as storm strengthens to category three near Darwin

Destructive wind gusts are hammering remote communities in the Top End as tropical cyclone Fina strengthens while sweeping back over water and threatening Darwin.
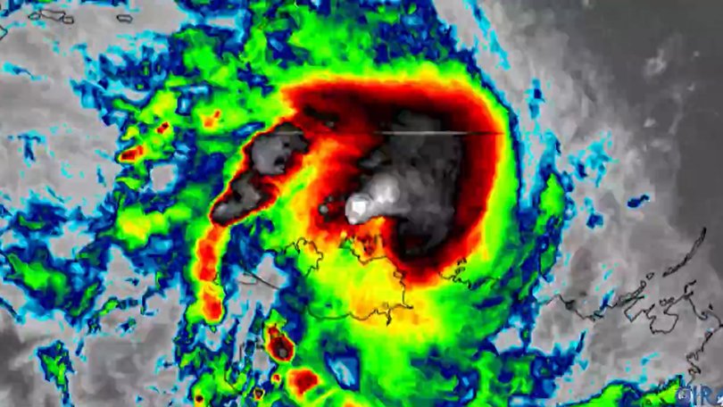
Fina passed over the Cobourg Peninsula overnight and into the Van Diemen Gulf on Saturday, moving slowly towards the Northern Territory capital.
In an update on Saturday morning, the Bureau of Meteorology said the system had been upgraded to category three.
Sign up to The Nightly's newsletters.
Get the first look at the digital newspaper, curated daily stories and breaking headlines delivered to your inbox.
By continuing you agree to our Terms and Privacy Policy.It said very destructive wind gusts to 185 km/h were likely along the southeastern coast of the Tiwi Islands on Saturday morning.
Destructive wind gusts to 140km/h may extend to Darwin later in the day.
Early on Saturday, a cyclone warning zone was in place for Darwin, the Cobourg Peninsula, the Tiwis, the Daly River Mouth to Warruwi and inland to Batchelor.
At around 7.30am Darwin time the system had sustained winds near the centre of 120km/h with wind gusts to 165km/h. It was tracking 120km northeast of the city.

At the third tier of severity, cyclones can bring wind gusts of up to 224km/h and cause structural damage to properties.
Speaking in South Africa, Prime Minister Anthony Albanese urged people in the cyclone’s path to look after themselves and others.
“My thoughts are with people at this time and also with the emergency service workers and others who will be working hard,” he said.
Heavy rainfall might lead to flash flooding in coastal areas between the Tiwi Islands and Warruwi, extending across the western Top End including Darwin during Saturday and Sunday, the bureau said in an update.
Croker Island Airport, in remote west Arnhem Land, had recorded nearly 200mm of rainfall in the 24 hours to Saturday morning.
The NT Emergency Service is advising people in the path of Fina to remain in a secure shelter while the destructive winds pass.
“Do not venture outside if you find yourself in the eye of the cyclone - destructive winds from a different direction could resume at any time,” it said.
Dean Narramore, a senior meteorologist with the bureau, said the worst of the conditions for Darwin were likely to be from Saturday evening into the overnight hours, but it was hoped Fina’s destructive winds would stay over water.
Authorities expect to advise Darwin residents to find their place of shelter and stay there until given the all-clear, with emergency services confident homes will withstand the storm.
NT Emergency Services chief officer Wayne Snell on Friday said residents should be prepared to look after themselves for the coming three days.
Many businesses had closed, including large supermarkets.
Federal help has been offered to the NT government as it prepares for Fina.
“What I would say to Northern Territory communities right now is your fellow Australians are with you,” Emergency Management Minister Kristy McBain told reporters in Canberra.
Top End residents have been stocking up on basics with bottled water, bread, canned goods and other household supplies flying off supermarket shelves.
Conditions are set to ease in the Top End by late Sunday as the system moves to Western Australia.
Cyclone Tracy was the most devastating system to hit Darwin, killing 66 people on Christmas Day, 1974.
